Белая Калитва
Обзор№ - 1643
| Стоимость | 700 000 |
|---|---|
| Категория земли | Земля промышленного назначения |
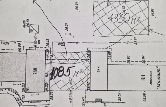
| Площадь участка, сот | 1350 |
Адрес
| Населенный пункт | посёлок Сосны |
|---|---|
| Улица | улица Буденного |
В продаже два участка рядом с магазином Магнит, расположены в п. Сосны, назначение для строительства объектов делового, общественного и коммерческого назначения. Границы участков установлены. Первый участок площадью 1085 кв.м. расположен между магазином магнит и Аптекой. Второй участок площадью 1300 кв. м. расположен за зданием магазина Магнит. Отличное местоположение, рядом дорога с большим автомобильным трафиком. Рассмотрим все варианты продажи.









